एयरपोर्ट विस्तार के साथ आवागमन रहेगा सुचारू: प्रशासन ने तैयार किए ठोस वैकल्पिक मार्ग
आम जनमानस के आवागमन को लेकर प्रशासन की स्पष्ट और व्यावहारिक कार्ययोजना

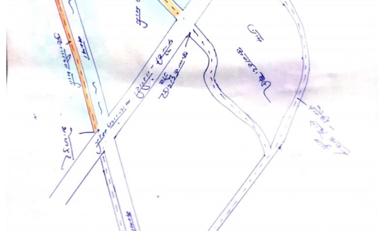
अलीगढ़ : अलीगढ़ एयरपोर्ट (धनीपुर हवाई पट्टी) के विस्तार से प्रभावित होने वाले मार्गों को लेकर जिला प्रशासन ने आमजन की सुविधा को सर्वाेच्च प्राथमिकता देते हुए ठोस और व्यवहारिक समाधान तैयार कर लिया है। प्रशासन ने स्पष्ट किया है कि एयरपोर्ट विस्तार के कारण किसी भी स्थिति में ग्रामीणों व स्थानीय निवासियों का आवागमन बाधित नहीं होने दिया जाएगा।जिलाधिकारी के निर्देश पर एसडीएम कोल द्वारा प्रस्तुत कार्ययोजना में बताया गया है कि पनैठीदृगंगीरी मार्ग एवं पनैठीदृसाधु आश्रम मार्ग बंद होने की स्थिति में प्रशासन के पास पहले से ही सुरक्षित और वैकल्पिक मार्गों की योजना उपलब्ध है, जिससे आम जनमानस को किसी प्रकार की असुविधा न हो।प्रशासन द्वारा चिन्हित किए गए वैकल्पिक मार्ग पहला वैकल्पिक मार्ग: जीटी रोड पर ग्राम पनैठी से लगभग 2.5 किलोमीटर आगे ग्राम सिहोर से बंबे की पटरी के सहारे ग्राम भोजपुर तक का मार्ग वर्तमान में सिंगल रोड के रूप में संचालित है। इस मार्ग से गंगीरी के पुराने रास्ते और पनैठीदृसाधु आश्रम मार्ग तक आसानी से पहुंचा जा सकता है।दूसरा वैकल्पिक मार्ग: पनैठी ओवरब्रिज के नीचे से प्रस्तावित नए मार्ग का विकास किया जाएगा। भूमि अधिग्रहण के बाद यह चौड़ा मार्ग ग्राम अलहदादपुर होते हुए साधु आश्रम मार्ग से जुड़ेगा। इसी मार्ग से गंगीरी के पुराने रास्ते तक भी आवागमन संभव होगा।आपात स्थिति में भी निर्बाध आवागमन प्रशासन ने स्पष्ट किया है कि ग्राम सिहोर से भोजपुर तक का मार्ग वर्तमान में भी चालू है, जिससे किसी भी आपात स्थिति में आवागमन पूरी तरह संभव रहेगा। स्थायी समाधान के रूप में भविष्य में चौड़े और सुगम मार्गों के विकास की प्रक्रिया भी जारी है। जिला प्रशासन ने कहा कि एयरपोर्ट विस्तार जिले के विकास की दिशा में एक महत्वपूर्ण कदम है, लेकिन इसके साथ-साथ स्थानीय नागरिकों की सुविधा, सुरक्षा और रोजमर्रा के आवागमन का पूरा ध्यान रखा जा रहा है। सभी पहलुओं पर विचार करते हुए ऐसा समाधान सुनिश्चित किया जाएगा, जिससे विकास और जनहित दोनों साथ-साथ आगे बढ़ें। एयरपोर्ट विस्तार से जहां जिले को नई विकास संभावनाएं मिलेंगी, वहीं प्रशासन की यह सुव्यवस्थित कार्ययोजना यह भरोसा दिलाती है कि आमजन का जीवन सुचारू और निर्बाध बना रहेगा।



